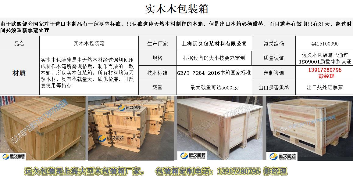
全部由天然實木制作而成的木箱稱之為實木木箱,實木木箱是由天然木材經過鋸切、刨壓成制作木箱所需規格后組裝加工而成,所以實木木箱所有材料均為實木(松木,楊木,硬雜木等),具有承載量大、質優價廉、可反復使用等特點。 由于歐盟部分國家對于進口木制品有一定要求標準,只認準這種天然木材制作的木箱,但是出口之前必須經過熱處理熏蒸殺蟲,而且熏蒸有效期只有21天,超過時間必須重新熏蒸處理,所以使用單位在采購的時候都說要購買出口熏蒸木箱。 高品質的熏蒸木箱包裝在生產過程中有嚴格的要求,主要有材料要求、成箱后尺寸要求、連接要求和木箱外觀要求。 1、木材含水率不大于15%,含水率測定方法按GB12626.2執行。 2、活節原則上不限,但最大節子直徑不得超過材寬的二分之一。 3、死節、漏節不貫通的一律不計,但不得在包裝木箱的外表面存在,貫通的節子直徑大于5mm時,應在包裝木箱外表面用原木嵌補。 4、不貫通的裂紋不限,但不允許有裂紋貫通。 5、任意材長1m時,蟲眼的個數不得超過15個,小于5mm的蟲眼不計,條狀蟲眼不得超過3個,貫通蟲眼大于5mm用原木嵌補。 6、鈍棱最嚴重的缺角寬度不得超過材寬的40%,高度不得超過材厚的二分之一。 7、腐朽部分的最大寬度不得超過20mm,長度不得超過單板面的十分之一。斜紋紋理的傾斜度不得超過五分之一。 在實際的生產加工過程中,熏蒸實木木箱的生產涉及到的方面很多,包括原木鋸材的儲存、保管,原木的鋸解工藝,鋸材的分選與檢驗,鋸材的深加工和剩余物的利用。實木木箱的生產的前端需要原木鋸解,原木鋸解技術主要是提高原木的出材率、提高成品鋸材的質量及提高勞動生產率,降低實木木箱生產工人的勞動強度和改善工作環境,合理利用森林資源增加產品的附加值,獲得最大的經濟效益。













滬公網安備 31011702002672號
客服